-
戸建【未公開情報】
-
土地【未公開情報】
-
マンション【未公開情報】
-
駅徒歩20分以内土地・戸建情報
-
敷地100㎡以上土地・戸建情報
- 戸建【未公開情報】
- おすすめの戸建情報を掲載。これからリフォーム予定の物件もあります。
- 土地【未公開情報】
- スタッフが足をつかって集めた情報や、これから建築予定の土地等をご紹介。
- マンション【未公開情報】
- 駅近、大規模いろいろあります。
- 駅徒歩20分以内土地・戸建情報
- 「駅徒歩20分以内土地・戸建情報」の特集です。横浜・湘南にある土地や戸建を多数掲載しております。周辺の施設へのアクセスにも便利です。
- 敷地100㎡以上土地・戸建情報
- 「敷地100㎡以上土地・戸建情報」の特集です。横浜・湘南にある土地や戸建を掲載しています。どの物件も広々としたスペースがございます。
-
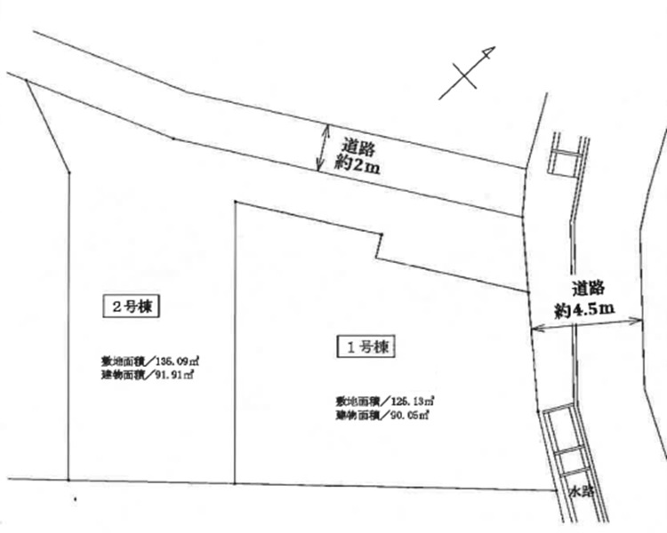
2024/11/15逗子市池子 新築戸建逗子市池子2丁目の新築戸建のご紹介です。◆◇◆◇◆◇◆◇◆◇基本情報◆◇◆◇◆◇◆◇◆◇価格:6,4... -
2023/12/14プリンスハイツ戸塚 フルリノベーションマンション売マンションのご紹介です。物件名 プリンスハイツ戸塚 金額 4790万円間取り 4LDK 延床面積... -
2023/12/06戸塚区上柏尾町 新築分譲住宅戸塚区上柏尾町 新築分譲住宅のご紹介です。物件所在地:戸塚区上柏尾町交通:JR横須賀線「東戸塚」徒歩... -
2023/12/06泉区和泉町 新築戸建住宅泉区和泉町 新築分譲住宅のご紹介です。物件所在地:泉区和泉町 交通:相鉄いずみ野線「いずみ野」徒歩3...
| 2024-11-15 |
逗子市池子2丁目の新築戸建のご紹介です。◆◇◆◇◆◇◆◇◆◇基本情報◆◇◆◇◆◇◆◇◆◇価格:6,480万円(税込)物件所在地:逗子市今子2丁目交通:京急逗子線「神武寺」駅徒歩9分 ◆◇◆◇◆◇◆◇... |
|---|---|
| 2024-11-15 |
逗子市池子2丁目の新築戸建のご紹介です。◆◇◆◇◆◇◆◇◆◇基本情報◆◇◆◇◆◇◆◇◆◇価格:6,480万円(税込)物件所在地:逗子市今子2丁目交通:京急逗子線「神武寺」駅徒歩9分 ◆◇◆◇◆◇◆◇... |
| 2024-11-15 |
逗子市池子2丁目の新築戸建のご紹介です。◆◇◆◇◆◇◆◇◆◇基本情報◆◇◆◇◆◇◆◇◆◇価格:6,480万円(税込)物件所在地:逗子市今子2丁目交通:京急逗子線「神武寺」駅徒歩9分 ◆◇◆◇◆◇◆◇... |
| 2023-12-06 |
戸塚区上柏尾町 新築分譲住宅のご紹介です。物件所在地:戸塚区上柏尾町交通:JR横須賀線「東戸塚」徒歩22分 「東戸塚駅」バス8分「上柏尾町」停歩2分◆◇◆◇◆◇◆◇◆◇基本情報◆◇◆◇◆◇◆◇◆◇... |
| 2023-12-06 |
泉区和泉町 新築分譲住宅のご紹介です。物件所在地:泉区和泉町 交通:相鉄いずみ野線「いずみ野」徒歩3分 ※東急東横線 乗り入れ 急行停車駅 ◆◇◆◇◆◇◆◇◆◇基本情報◆◇◆◇◆◇◆◇◆◇価格:2号... |
【当サイトについて】
未公開・最新情報をより多く取得できる3つの理由
①運営会社が査定専門の不動産会社
横浜市内・湘南を中心に物件査定と買取を専門にしている会社が母体です。
他にはない、最新情報をいち早くキャッチ。先駆けてご紹介しています。
②営業が四六時中、未公開物件を探して歩いております。
各地域の担当者が営業活動の一環で、建物建築前の新規分譲地や更地、空家になった情報を足で見つけだします。
(グループ会社で空家、相続に関する相談窓口のNPO法人も運営)
「今は様々な理由で大々的に広告できないけど、購入者様の反応が知りたい。。」
こんなクライアントからの依頼に当サイトを通じてお答えしています。
③個別リクエストにご対応します。
“LINEお友達登録”で個別リクエストも受付いたします。
「この地域でこんな物件が見つかれば。。」というお客様のご要望にも、随時お答えしています。
(ご指定地域を中心に当社の営業担当が活動し、地元不動産会社にも確認を行い、物件をお探しいたします)
さらに、お友達登録いただいたお客様には、ご希望地域の「新着情報」に加えて「交渉中物件」などもお知らせ可能です。
※当サイトの『未公開』 物件とは一般向公開サイト、 または業者間流通サイトに登録されていない物件を指しています。
一部のサイトでは、公開されている可能性もありますので、ご承知おきください。
(業者間サイトには公開されているが、一般サイトには掲載されていない。または、業者サイトには公開されていないが、一部サイトに掲載がある等)
※更新が1週間毎であるため、 他サイトと物件が重複している可能性があることもご承知おきください。















